Notigape

El huracán Irma se convierte en el más fuerte jamás registrado

Por: Staff NotiGape
05/09/2017 08:55
El huracán Irma se convierte en el más fuerte jamás registrado

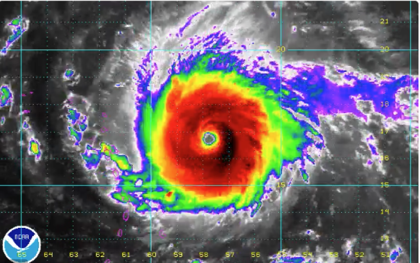
Este martes el huracán Irma se convirtió en categoría 5 con vientos de hasta 281 kilómetros por hora.

El Centro Nacional de Huracanes, dio a conocer que Irma es el huracán más fuerte en la zona del Atlántico y fuera del Caribe y el Golfo de México jamás registrado.

Por lo que se prevé que se acerca a las islas Leeward, ya que se dirige hacia el oeste en el Océano Atlántico y Puerto Rico y Florida se prepara para su posible llegada.

Cabe señalar que el Centro de Operaciones de Emergencia de las Islas Vírgenes pidió a los residentes de la isla Anegada evacuar la isla antes de que el huracán toque tierra.

Notas Relacionadas

TotalPlay