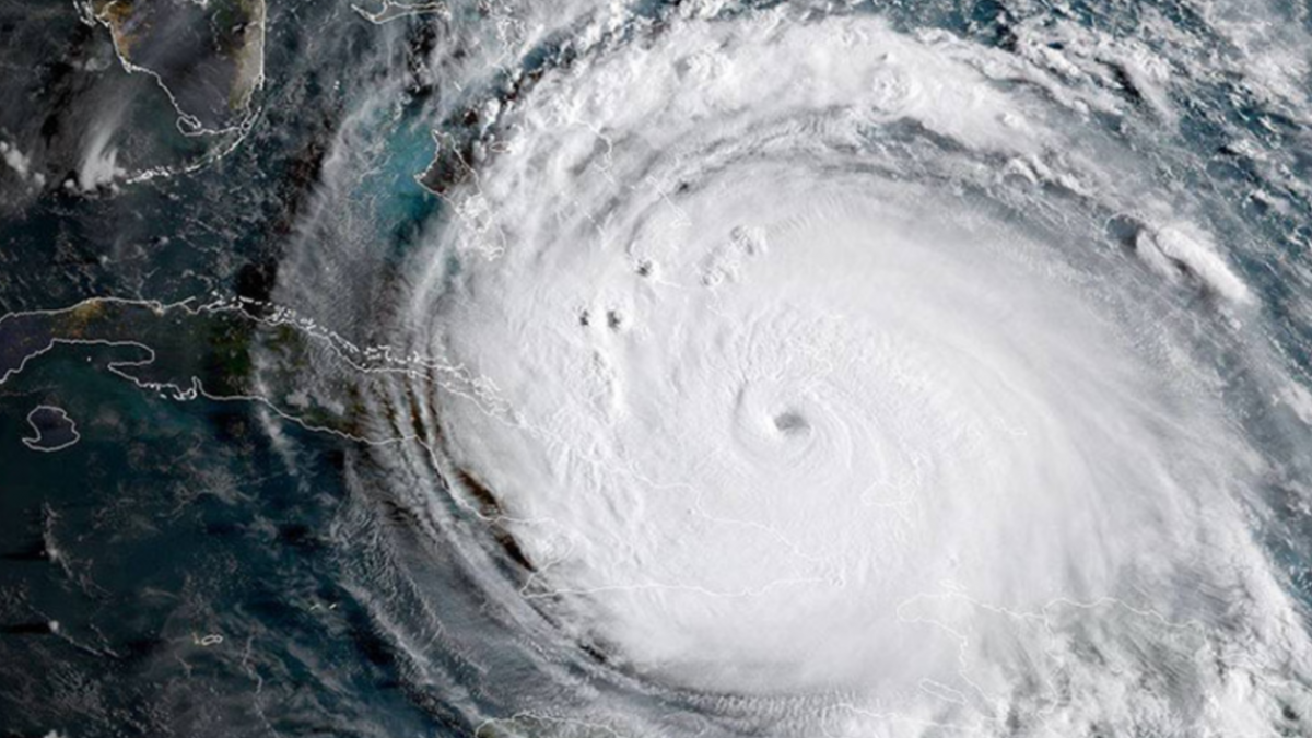
Astronauta comparte fotografías de "Irma"

Tendencias / Tendencias / Por: Staff NotiGape

Publicado: 10 de septiembre, 2017 | 1:40 PM

Astronauta comparte fotografías de "Irma" A3gLLbbP5NfWa6nLREGX.png IFiluJEKdJ6XkK9Ye5d9.jpg JwuXcxRCws5dj2NL9DC5.jpg QWO6sf6M1NQBx1WfnxI1.jpg

A través de la cuenta de Twitter de un astronauta de la NASA que se encuentra en la Estación Espacial Internacional (EEI), llamado Randy Bresnik (@AstroKomrade), este subió una serie de fotografías del huracán “Irma” desde como se ve este fenómeno, ahora degradado a categoría 3.

Rinnovo – Med Spa