Notigape

Huracán 'Iota' se convierte en categoría 5

Por: Staff NotiGape
16/11/2020 07:11
Huracán 'Iota' se convierte en categoría 5

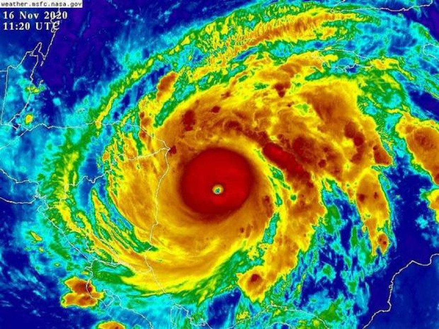
Este lunes huracán 'Iota' se convirtió en un potente ciclón de categoría cinco, la máxima, al acercarse al Caribe de Nicaragua, donde pobladores fueron evacuados y albergados ante esta nueva amenaza para Centroamérica, dos semanas después del devastador paso de 'Eta'.

Por lo que dicho huracán afectará la misma región que dos semanas atrás sufrió el violento embate del huracán 'Eta', que dejó más de 200 muertos y 2.5 millones de afectados en el istmo.

De acuerdo al Centro Nacional de Huracanes de Estados Unidos (NHC) reveló que Iota alcanzó vientos máximos de 260 km/h horas antes de que arremeta contra el Caribe centroamericano, entre Nicaragua y Honduras.

"Se espera que Iota se mantenga como un catastrófico huracán categoría 5 al acercarse esta noche (del lunes) a la costa noreste de Nicaragua", indicó el NHC en un reporte.

Advirtió que se esperan "fuertes lluvias, inundaciones repentinas y crecidas de ríos que amenazan la vida" a lo largo de partes de Centroamérica.

El impacto sería mayor en el noreste de Nicaragua y el este de Honduras, zonas aún devastadas por 'Eta'.

STCA