Joe Biden tropieza al abordar el avión presidencial
El presidente de Estados Unidos, Joe Biden tropezó varias veces cuando subía al avión presidencial para volar a Atlanta este día.
El presidente de Estados Unidos, Joe Biden tropezó varias veces cuando subía al avión presidencial para volar a Atlanta este día.
Finlandia fue elegido por cuarto año consecutivo como el "país más feliz del mundo", por delante de Dinamarca, Suiza e Islandia, en una clasificación mundial del bienestar que se ha visto afectado de maneras dispares por la pandemia.
La Cámara de Representantes de Estados Unidos aprobó este jueves una ley migratoria para dar una vía a la ciudadanía a los llamados "dreamers" (jóvenes indocumentados llegados al país siendo menores de edad) pero la iniciativa enfrenta un panorama complicado en el Senado.
Con 50 votos a favor y 49 en contra, el senado de Estados Unidos confirmó este jueves a Xavier Becerra como secretario de Salud del país, convirtiéndose en el primer latino al frente de la dependencia.
El presidente de Tanzania, John Magufuli, murió a los 61 años por una enfermedad cardiaca.
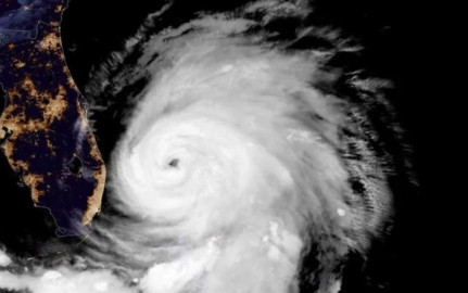
El Comité de Huracanes de la Organización Meteorológica Mundial (OMM) anunció este miércoles que retiró de la lista de los nombres para denominar los ciclones tropicales del Atlántico a "Dorian" y "Laura", "Eta" e "Iota", esto debido a la gran cantidad de muertes y destrucción que dejaron a su paso.
El presidente de los Estados Unidos, joe Biden, afirmó este miércoles durante una entrevista, que su homólogo ruso Vladimir Putin, pagará las consecuencias por interferir en las elecciones presidenciales del país norteamericano.
72 empleados de la Torre Trump fueron vacunados contra dl COVID-19, por un error en un hospital de Chicago, donde se pensó que eran empleados esenciales.
En un hospital de París, la capital de Francia, falleció un niño de 11 años, luego de haber saltado desde la ventana de su habitación ubicada en el cuarto piso del edificio. Una vecina habría sido quien dio el aviso de que el menor se había arrojado.
El Senado de Estados confirmó el lunes a Deb Haaland como Secretaria del Interior de Gobierno de Joe Biden, siendo la primera mujer indígena en adquirir el puesto.
El gobierno de Canadá mostró su preocupación por la reforma eléctrica impulsada por el presidente Andrés Manuel López Obrador, debido a los efectos que pueda tener en las inversiones directas al sector de las energías limpias.
El presidente de Estados Unidos, Joe Biden pidió este martes a las familias migrantes que se queden en sus países y no intenten cruzar a Estados Unidos.
Las autoridades norteamericanas han confirmado que, tras los tiroteos en contra de salones de masaje en la zona suburbana de Atlanta, Estados Unidos, ha quedado un saldo de ocho personas muertas y varios heridos, sin embargo, ya se detuvo al presunto responsable de los ataques.
En China, múltiples actividades se tuvieron que detener debido a la entrada de una fuerte tormenta de arena, acompañada de una densa capa de neblina entre este lunes y martes.
El presidente de los Estados Unidos, Joe Biden, dará una conferencia de prensa el 25 de marzo, la primera desde que asumió la presidencia del país desde el 20 de enero.
Un niño que viajaba en una camioneta junto con su madre murió cuando una avioneta que tenía dificultades para regresar a un aeropuerto en el sur de Florida cayó sobre el vehículo en una calle residencial.
Este martes el príncipe Felipe de Inglaterra salió de un hospital de Londres tras ser atendido por una infección y pasar por una intervención de corazón.
En redes sociales se dio a conocer este lunes un gráfico video en donde una mujer afroamericana fue asesinada por un policía, en un estacionamiento en Tennessee y posteriormente, se desató un tiroteo.
Estados Unidos es la nación más afectada por la pandemia de coronavirus, y un estado que durante la mayor parte del último año, se ha mantenido como el epicentro de la enfermedad, es Nueva York.
La justicia boliviana decidió enviar a prisión preventiva durante cuatro meses por el caso conocido como “golpe de Estado” a la expresidenta interina, Jeanine Áñez, y a sus exministros Álvaro Coímbra, de Justicia, y Rodrigo Guzmán, de Energía.
La Fiscalía de Bolivia pidió este domingo seis meses de cárcel preventiva para la expresidenta derechista Jeanine Áñez, por un caso de supuesto golpe de Estado contra el exmandatario Evo Morales.
Un grupo de manifestantes atacó este sábado con piedras el vehículo que transportaba al presidente argentino, Alberto Fernández, tras su llegada a la localidad de Lago Puelo, en la provincia de Chubut.
El gobierno de los Estados Unidos anunció que ofrecerá Estatus de Protección Temporal (TPS, por sus siglas en inglés) a los birmanos que se encuentran en el país.
La madrugada de este sábado fue detenida la expresidenta de Bolivia Jeanine Áñez, quien es acusada de sedición y terrorismo por la crisis política de 2019 que precipitó la renuncia del entonces mandatario Evo Morales, informó el ministro de Gobierno.