Lluvias de fuertes a torrenciales se pronostican en 22 estados
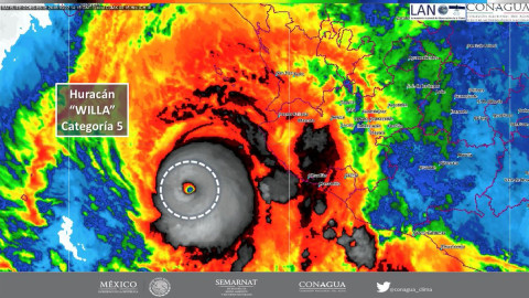
Los sistemas meteorológicos que afectan al país, entre ellos el huracán mayor Willa, y Vicente, ya como posible depresión tropical, ocasionarán este martes lluvias de fuertes a torrenciales en 22 estados de la República Mexicana, informó el Servicio Meteorológico Nacional (SMN).