Notigape

Tamaulipas

Coordina Gobierno de Tamaulipas acciones preventivas ante pronóstico de bajas temperaturas
Tamaulipas

Coordina Gobierno de Tamaulipas acciones preventivas ante pronóstico de bajas temperaturas

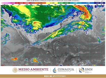
El Gobierno de Tamaulipas preocupado por la salud y seguridad de las y los tamaulipecos y ante la llegada del frente frío número 27 que posiblemente traerá para los municipios de la zona norte del estado y centro, principalmente, temperaturas gélidas del ártico con valores de 0° grados centígrados, dio a conocer una serie de acciones de manera coordinada entre autoridades de la Secretaría de Salud, Educación y la Coordinación Estatal de Protección Civil.

14/01/2024