Dos explosiones se registran en planta química de Houston
La madrugada de este jueves se registraron dos explosiones en una planta química de Texas, a 40 kilómetros de Houston, esto tras las inundaciones causadas por la tormenta Harvey.
La madrugada de este jueves se registraron dos explosiones en una planta química de Texas, a 40 kilómetros de Houston, esto tras las inundaciones causadas por la tormenta Harvey.
Para fortalecer las acciones y programas que se implementan dentro de las actividades del Sistema DIF Tamaulipas que preside Mariana Gómez de García Cabeza de Vaca, la empresa Munguia Enterprise hizo la donación de una ambulancia equipada, la cual ha pasado a formar parte del parque vehicular que estará al servicio de los que más lo necesitan, fortaleciendo de ésta manera la colaboración e iniciativas que apoyen a los tamaulipecos.
Entre matorrales, en la comunidad de Los Fresnos, Texas, autoridades encontraron el cuerpo de una mujer, aparentemente se trata de Teresa “Terry” Pérez, quien tenía 19 días desaparecida.
Carlos Delafuente, exempleado de la Oficina del Servicios de Libertad Condicional del Condado Hidalgo, se entregó nuevamente a las autoridades tras surgir otra orden de arresto en su contra.
Hallan sin vida a un hombre de la tercera edad, debajo de un puente quien era residente de San Benito.
Se estima que un total de entre 20 mil y 30 mil soldados de a Guardia Nacional de Estados Unidos serán desplegados junto a dos mil soldados en activo, como parte de las medidas para repeler los efectos de Harvey, de acuerdo con información dada a conocer por el pentágono este martes.
Aquellos mexicanos que se encuentren en peligro de inundación o necesiten ayuda a causa de los efectos de Harvey, podrán salir a la calle y solicitar auxilio sin ser detenidos ya que el gobierno del estado de Texas informó que no se realizarán operativos migratorios, esto de acuerdo al subsecretario para América del Norte de la Secretaría de Relaciones Exteriores, Carlos Sada Solana.
El presidente de los Estados Unidos Donald Trump, llegó a Texas con el fin de ver las graves situaciones de Houston tras el paso del huracán Harvey y evaluar los daños que dejo tras su paso.
Autoridades del Condado Hidalgo emitieron una orden de arresto en contra de Eulalio De Los Santos Monjares por asesinato capital.
Hasta el momento suman 10 muertos por el paso del huracán “Harvey” en su paso por Texas, Estados Unidos.
Tras el pasó de ‘Harvey’ por el Valle de Texas, surgió el rumor de que las estaciones de gasolina están presentando una escases del producto, el cual provocó que las gasolineras de la ciudad de Brownsville, registraran largas filas.
Las peores inundaciones de la historia de Houston fueron provocadas por el huracán Harvey que ha dejado 60 centímetros de lluvia y se prevé que aumente al doble en los siguientes días.
Este lunes funcionarios federales anunciaron la amenaza de inundaciones catastróficas en el estado de Texas esto como resultado de la tormenta Harvey y pidieron la colaboración de la población para ayudar a los sobrevivientes.
Tras su paso por Rockfort ‘Harvey’ ya cobró la primera muerte de un civil, un poco más de 300 mil hogares sin luz y cientos de daños a edificaciones.
La Oficina del Sheriff del Condado de Fort Bend advirtió a la ciudadanía que tras las tormenta Harvey los caimanes buscarán un terreno más alto durante las inundaciones.
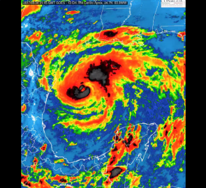
La ciudad costera de Rockport fue una de las más afectadas por el huracán Harvey, que tocó tierra como huracán de categoría 4 antes de rebajarse a categoría 1.
Esta noche alrededor de las 20:40 horas ‘Harvey’ uno de los huracanes más poderosos registrados después de 'Katrina' tocó por primera vez tierra en las costas de Texas, ante la llegada de éste, elementos de Protección Civil y autoridades optaron por evacuar la zona.
Al sureste de la costa de Texas, los civiles ya se encuentran evacuando el lugar ante la peligrosa llegada del huracán Harvey, mismas que ya se han ido a refugiar a San Antonio, Austin y otras comunidades al norte y centro del país.
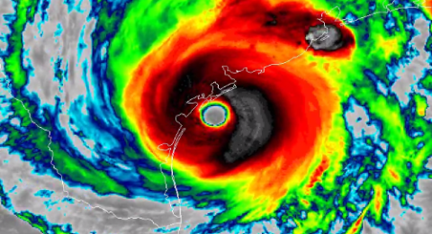
El Centro Nacional de Huracanes (NHC) de Estados Unidos, dio a conocer que el huracán Harvey se intensificó a categoría 3, sigue este viernes fortaleciéndose mientras se aproxima a la costa de Texas, esto con poderosos vientos sostenidos de 110 millas por hora y está a punto de convertirse en un huracán de categoría mayor.
Esperanza Zendejas, superintendente escolar Independiente de Brownsville dio a conocer que las escuelas estarán cerradas este viernes.
El huracán Harvey se intensificó temprano este viernes, convirtiéndose en uno de los fenómenos meteorológicos más grande en más de una década, que amenaza golpear a varias entidades de Estados Unidos a lo largo de la costa del Golfo de México.
El centro meteorológico de Miami, estados Unidos informó que a la llegada de Harvey a Texas, este provocará fuertes inundaciones, calificándolas como “devastadoras”, por ello la población estadounidense ha preparado las medidas pertinentes para resguardarse.
El juez del condado Cameron Eddie Treviño, Jr ha ordenado el cierre temporal de 5 playas a partir de este jueves 24 de agosto hasta nuevo aviso.
La costa de Texas, en la parte estadunidense del Golfo de México, se preparaba el jueves para la llegada de la tormenta tropical Harvey, que se espera provoque fuertes vientos, inundaciones y lluvias torrenciales en la zona.