Huracán Delta cobra fuerza y se convierte en categoría 4 antes de su llegada a México

Nacional / Nacional / Por: Staff NotiGape

Publicado: 06 de octubre, 2020 | 10:39 AM

Huracán Delta cobra fuerza y se convierte en categoría 4 antes de su llegada a México

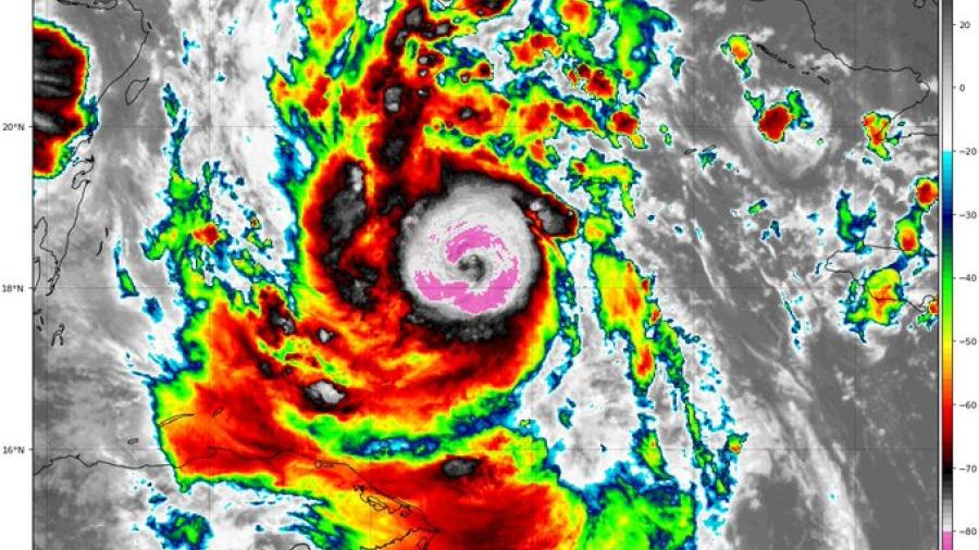
El Centro Nacional de Huracanes de Estados Unidos (NHC) informó que el huracán Delta, mismo que se ubica cerca de las costas de la península de Yucatán, cobró fuerza y alcanzó la categoría 4.

Localidades de los estados de Quintana Roo y Yucatán ya se mantienen en alerta ante su llegada a la península.

Cabe destacar que Delta ya se ha convertido huracán mayor de la temporada y se prevé un fortalecimiento rápido en las próximas horas.

Carlos Joaquín Gonzalez, gobernador de Quintana Roo, dio a conocer que a partir de las 13:00 h habrá suspensión de labores en Tulum, Solidaridad, Cozumel, Puerto Morelos, Benito Juárez, Isla Mujeres y Lázaro Cárdenas.

Por medio de redes sociales, Carlos Joaquín apuntó que solo actividades esenciales seguirán trabajando, mientras que los supermercados podrán cerrar a las 17:00 h.

El mandatario estatal apuntó que a partir de las 17:00 h “TODOS deben permanecer en casa”.

Kia