Nacional
Se pronostican lluvias para gran parte del territorio nacional
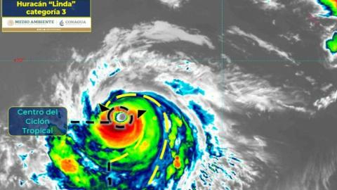
Para hoy, un canal de baja presión extendido sobre la Mesa del Norte y la Mesa Central, así como inestabilidad atmosférica superior y el paso de la onda tropical Núm. 20 que se desplazará al sur de las costas de Jalisco, producirán chubascos y lluvias fuertes a muy fuertes acompañadas de descargas eléctricas y posible caída de granizo sobre entidades del noroeste, norte, occidente, centro y sur del país, incluido el Valle de México.