Nacional
Se prevén fuertes lluvias en varios estados del país
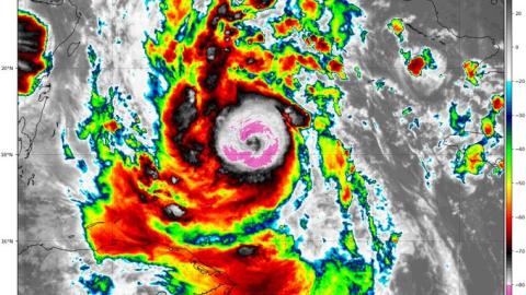
De acuerdo al Servicio Meteorológico Nacional (SMN) de la Comisión Nacional del Agua (Conagua), informó la amplia circulación del peligroso huracán Delta ingresará a la costa norte de Quintana Roo y ocasionará lluvias intensas, torrenciales, muy fuertes y fuertes en Quintana Roo, Yucatán, Campeche, Tabasco, Chiapas, Veracruz y Oaxaca.